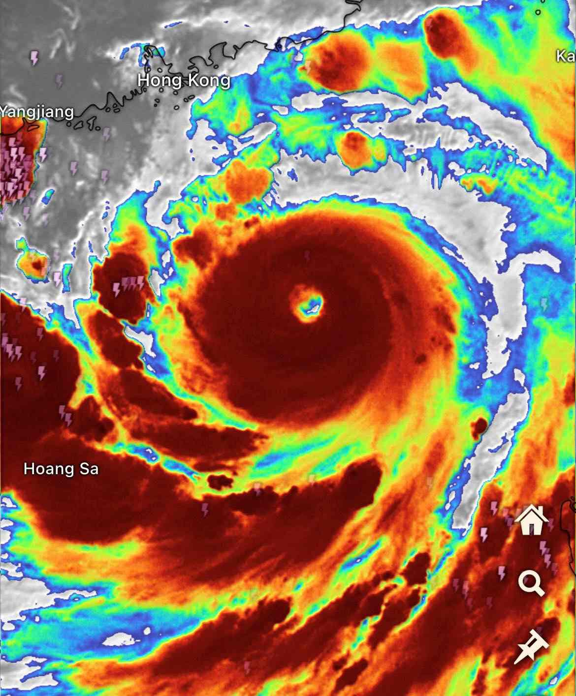
Thông báo Về việc nghỉ tránh bão số 3

Thứ sáu - 06/09/2024 14:31
Thông báo về việc chủ động ứng phó với cơn bão số 3 (Yagi)!
Thông báo Về việc nghỉ tránh bão số 3
Picture1
 

Tổng số điểm của bài viết là: 0 trong 0 đánh giá

Click để đánh giá bài viết

  Ý kiến bạn đọc

Những tin mới hơn

Những tin cũ hơn

Thăm dò ý kiến

Bạn quan tâm nhất điều gì khi con đến trường?

Bộ giáo dục và đào tạo
Mas
Network and partners
Hội thảo về bé
Liên hệ với chúng tôi


Thống kê truy cập
  • Đang truy cập30
  • Máy chủ tìm kiếm1
  • Khách viếng thăm29
  • Hôm nay827
  • Tháng hiện tại10,352
  • Tổng lượt truy cập1,726,156
Bạn đã không sử dụng Site, Bấm vào đây để duy trì trạng thái đăng nhập. Thời gian chờ: 60 giây